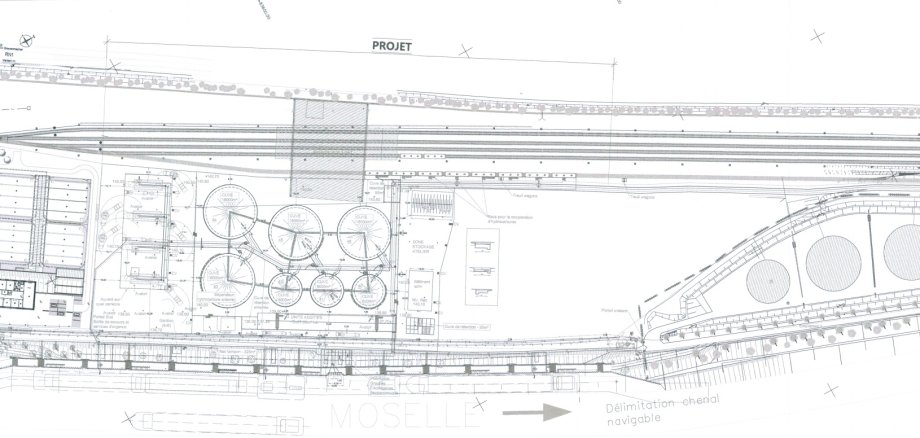
Більший резервуарний парк у порту Мертерт?
Резервуарний парк у порту Мертерт буде розширено. Муніципалітет Конц та місцева громада Теммельс отримали кілька папок із документами щодо затвердження проекту. Зокрема, вони стосуються… Розширення резервуарного парку для дизельного палива, бензину та гасу з 60 000 кубічних метрів на 90 000 кубічних метрів.
Документи доступні адміністрації в паперовому вигляді; на жаль, дослідження ризиків доступне лише французькою мовою. З документами можна ознайомитися в Будівельне управління (Макс-Планк-Штрасе, 1) З документами можна ознайомитися. Будь ласка, запишіться на прийом телефоном до пана Квінса або пана Джерардса за номером: 06501 83-181/180. Коментарі можна подавати до 18 грудня 2025 року. participation@konz.de бути зданим.
Ми переглянули «нетехнічні резюме» та робимо їх доступними. ТУТ доступний.
Заява міської адміністрації щодо запланованого проєкту:
«Збільшення потужності резервуарного парку посилить існуючі ризики. Тому ми відкидаємо будь-яке розширення об'єкта! На нашу думку, відстань до житлових районів у Теммельсі занадто коротка та становить небезпеку для населення. Йдеться не лише про шумове забруднення та потенційний розлив нафти в річку Мозель. Ми особливо стурбовані можливою пожежею на резервуарному парку та спричиненою нею спекою. Виникає нагальне питання, чи існують відповідні плани дій у надзвичайних ситуаціях, які можна швидко та ефективно впровадити у разі аварії».
На нашу думку, розширення резервуарного парку суттєво обмежить повноваження Теммельса щодо планування. Крім того, ми ставимо під сумнів мету створення більшої потужності для зберігання в часи енергетичного переходу та зниження споживання бензину та нафти.
Ми тісно контактуємо з муніципалітетами Люксембургу, яких торкнеться розширення, щоб узгодити спільний підхід».

